Balatoni kikötők

Tartalom:


Balatoni kikötők összefoglaló táblázata

Az itt felsorolt közforgalmú és üzemi kikötők mindegyike nagyhajók befogadására alkalmas, a kisebb vitorláskikötők nem kerülnek bemutatásra. A listában kikötők a tó partvonala mentén sorban helyezkednek el, kiindulási pont Siófok, a sorrend a déli parton nyugat felé haladva. A feltűntetett koordináták a kikötők tóba lejobban kinyúló pontjai (molók vagy molófejek közti rész) előtti vízterületre mutatnak (behajózási pont). A táblázatban lévő hivatkozásokra kattintva a rajzok, ábrák új ablakban jelennek meg. Kikötőkről képek a Galéria - Kikötők fejezetben tekinthetők meg.

Jelmagyarázat a táblázatban lévő "ábrák" oszlophoz:
G = Google Map on-line térkép (új ablakban)
A = alaprajz (2004-es állapot)
R = régi rajz (1966-ban készült felmérés alapján készített mélységi térképek)

Kikötő neve Ismer-
tetők
Üzembe
helyezés
éve
Bejárat
tájolása
Típus Behajózási koordináták
(
hdd° mm.mmm')
Megjegyzés Ábrák
Siófok >> 1863 ÉNY kétmólós, medencés N46 54.776 E18 02.522   G A R
Szántódrév >> 1965 ÉNY kétmólós, medencés N46 52.834 E17 53.898 kompkikötő, nem közforgalmú G R
Balatonföldvár >> 1905 ÉNY kétmólós, medencés N46 51.521 E17 52.775   G A R
Balatonőszöd >> ? NY kétmólós, medencés N46 49.344 E17 46.963 kormányüdülő területén lévő
korlátozott használatú kikötő
G
Balatonszemes >> 1912 NY kétmólós, medencés N46 48.945 E17 46.000   G A R
Balatonlelle >> 1933 NY kétmólós, medencés N46 47.623 E17 41.342   G A R
Balatonboglár >> 1890 NY kétmólós, medencés N46 46.954 E17 38.661   G A R
Fonyód >> 1846 ÉNY kétmólós, medencés N46 45.222 E17 33.139   G A R
Balatonmáriafürdő >> 1969 ÉK kétmólós, medencés N46 42.627 E17 22.992   G A R
Keszthely >> 1847 DK-K egymólós nyíltvízi N46 45.463 E17 15.423   G A R
Balatongyörök >> 1936 D-DK egymólós nyíltvízi N46 44.988 E17 21.381   G A R
Szigliget >> 1936 K egymólós, karolómólós N46 46.962 E17 26.719   G A R
Badacsony >> 1847 DK-K egymólós, karolómólós N46 47.173 E17 30.588   G A R
Pálköve >> ? DK öbölkikötő N46 49.208 E17 35.859 teherkikötő kőrakodóval,
nem közforgalmú
G
Révfülöp >> 1912 D-DK egymólós nyíltvízi N46 49.484 E17 37.779   G A R
Zánka >> ? ÉNY kétmólós, medencés N46 52.300 E17 42.587 A Zánkai Gyermek és
Ifjúsági Centrum területén
G A R
Balatonakali >> 1969 DK egymólós nyíltvízi N46 52.655 E17 44.553   G A R
Balatonudvari >> 1974 DK egymólós nyíltvízi N46 53.531 E17 47.471   G A
Tihanyrév >> 1905 DK-DNY kétmólós, medencés
és nyíltvízi
N46 53.267 E17 53.522 kompkikötő és hajókikötő G A R
Tihany >> 1910 DK egymólós nyíltvízi N46 55.001 E17 53.756   G A R
Balatonfüred >> 1937 DNY-D-K egymólós nyíltvízi N46 57.111 E17 53.768   G A R
Csopak >> 1970 DK egymólós nyíltvízi N46 57.983 E17 55.888   G A R
Alsóörs >> 1930 D-DK egymólós nyíltvízi N46 58.954 E17 58.786   G A R
Balatonalmádi >> 1930 D-DK egymólós nyíltvízi N47 01.579 E18 01.294   G A R
Balatonkenese >> 1948 DK-K egymólós, karolómólós N47 01.817 E18 06.656   G A R
Balatonaliga >> 1950 DNY kétmólós, medencés N46 59.201 E18 09.665 Club Aliga területén G A R

Fontos! Az adatok, koordináták, alaprajzok tájékoztató jellegűek. Az aktuális - alaprajzokat is tartalmazó - kikötőrendek a Nemzeti Közlekedési Hatóság honlapján tekinthetők meg ( www.nkh.hu > NKH Szakterületek > Hajózási Szakterület > Forgalomszabályozás, tájékoztatás (HSZH) > Kikötőrendek). A GPS koordinátákat is esetleges felhasználás előtt ellenőrizni kell!


Balatoni kikötők részletes ismertetői

Siófok
Szántódrév
Balatonföldvár
Balatonőszöd
Balatonszemes
Balatonlelle
Balatonboglár
Fonyód
B.máriafürdő
Keszthely
Balatongyörök
Szigliget
Badacsony
Pálköve
Révfülöp
Zánka
Balatonakali
Balatonudvari
Tihanyrév
Tihany
Balatonfüred
Csopak
Alsóörs
Balatonalmádi
Balatonkenese
Balatonaliga

Siófok

Déli parti kétmólós közforgalmú kikötő, 4 nagyhajónak magas partfal, 1 kishajónak alacsony partfal, 2 sólyatér, teherkikötő, üzemi kikötő, javítóműhely magas partfallal, hajózsilip, vitorláskikötő. A kikötőmedence vízfelülete 71.400 m2. Minden irányú szél ellen védett. A kikötő körzetében az ÉNY-i szelek a leggyakoribbak és a legerősebbek is. A kikötő jó védelmet nyújt e szelek ellen. A D-i illetve DNY-i szelek gyakorisága is nagy, azonban a part takarásában ezek nem okoznak problémát, legfeljebb behajózáskor. A kikötő bejárata ÉNY-i tájolású. A bejárat szélessége 50 m. A kialakuló hullámzás miatt a NY-i oldalon a hullámtörő kövek a bejáratba begurulnak és emiatt a bejárat 5-7 m-rel leszűkülhet. A kikötő talaja néhány helyen közepes keménységű márgás iszap. A Ny-i molón a bejárat után úszóstéges rendszerű vitorláskikötő van kialakítva kb. 150-200 vitorlásnak. A kikötőmedence NY-i részében zajlik a teherforgalom, ahol elsősorban halászati, vízügyes és vízépítéssel kapcsolatos hajók közlekednek. A kikötőben vízi rendészeti őrs működik. A hajózási szezon bármely időpontjában azonban, a kialakult gyakorlat szerint általában áprilisban, augusztusban és október-december hónapban a Balaton természetes lefolyását, a vízszint szabályozását, és a hajózást elősegítő, a Sió csatorna vízzel való feltöltése miatt a kikötő D-i oldalán lévő bukógátak megnyitásával a zárt kikötőmedence K-i oldalán, a bejárattó a kikötő végéig, kb. 1-1,5 km/h sebességű intenzív vízfolyás alakul ki. A NY-i részben emiatt egy keresztirányú különböző sebességű áramlás keletkezik. É-i, ÉNY-i szélnél a hullámvédő gátak mögötti zárt medencében levő vízterület is hullámossá, tarajossá válik. A bejáratok közelében É-i irányú hullámzásnál a hullám haladását felszabadító kikötőrésznél, a hullám kifordul haladási irányából és emiatt kereszthullámzás keletkezik, a dülöngélés periódusideje a hullám haladásával változik. A vízeresztés miatt a bejáratnál részbenfolyás alakul ki, a hullám a bejáratban elhajlik úgy, hogy közepe a folyás miatt felgyorsul, két oldala pedig lemarad, így komoly törőhullámhoz hasonló jelenség alakul ki, amely behajózó hajót keresztbefordíthatja, így a mólóra való felfutás veszélye állhat fenn. Tájékozódási pont a bejárattól jobbra lévő vöröses színű magas épület (Hotel Móló), valamint az ettől távolabb lévő Meteorológiai Obszervatórium zöld színű tornya, mely alacsonyabb az épületnél. Ugyancsak a bejárattól jobbra a partvonaltól beljebb, kb. 1 km-re lévő magas, szürke színű hasábra emlékeztető építmény, a kórház kéménye, a bejárattól balra a strandon lévő kék-fehér színű magas csúszda, valamint tovább egy magas épület, a Hotel Európa. A partéltől beljebb, kb. 1 km-re a városi víztorony beton buzogánya látszik. A kikötő bejárat közepéről a kikötő D-i végén egy fáktól mentes nyiladék jelzi a Sió-csatorna kifolyását.

Szántódrév

Déli parti kétmólós kikötő, két kompkikötőhely és egy üzemi hely. A kikötőmedence vízfelülete 8.400 m2. Nem minden széltől védett. A kikötő bejárata ÉNY-i tájolású, ezért az ilyen irányú szelek és az általuk keltett hullámok behatolnak a kikötőbe. A bejárat szélessége 60 m, a mólók burkolata kívül és belül is szórt kövezés. Kizárólag kompkikötő. Egyéb hajóknak veszély esetén megállási lehetőség csak a K-i oldalon van, a bejárattól kb. 20 m-re. Itt a vízmélység kb. 1 m. A parton kikötőbikák és bakok nincsenek. A két rámpás kompkikötőhely közötti partfal végén van fehér fényű irányjelző fény. Tájékozódási pont a kikötő üzemi épületének teteje, mely hasonlít egy megcsavart rombuszhoz, kék színével jól kiemelkedik a környezetéből. A mögöttes területen nincs jól kiemelkedő tereptárgy. Éjszaka nincs jellegzetes tájékozódási pont . A kikötő körzetében az uralkodó széljárás É-i.
Megjegyzés: A kompkikötőről részletes ismertető a Technika - Rév, komp kikötése fejezetben található.

Balatonföldvár

Déli parti kétmólós közforgalmú kikötő, 3 nagyhajónak magas partfal, 2 kishajónak alacsony partfal, 300-400 férőhelyes vitorláskikötő. A kikötőmedence vízfelülete 62.500 m2. Minden széliránytól jól védett kikötő. A kikötő bejárata ÉNY-i tájolású, szélessége 80 m. A kikötő talaja közepes keménységű márgás iszap. A kikötő közepén 11.700 m2-es fás sziget terül el (Galamb-sziget), a mögötte lévő terület széltől védett. A kikötő D-i oldalán vízi rendészeti őrs van. Magas, függőleges partfal található a kikötő DK-i oldalán. A mólófej mindkét oldalán a partfal szórt kövezésű. A NY-i oldalon és a szigeten lévő fák széleltérítő hatásúak. É-i, ÉNY-i szélnél a hullámvédő gátak mögötti zárt medencében levő vízterület is hullámossá, tarajossá válik. Tájékozódási pont a bejárattól jobbra lévő Hotel Neptun fehér épülettömbje, a tőle jobbra lévő Hotel Fesztivál lépcsős épülete. A bejárattól balra két magas épület látszik. A hajózóút bal (K-i) oldalán vízkivételi művek úszói vannak, ezek nagyon közel fekszenek a hajózó-útvonalhoz.

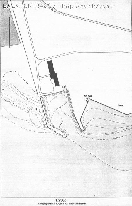
Balatonőszöd

Déli parti kétmólós korlátozottan közforgalmú kikötő, 1 nagyhajónak magas partfal, kb. 30 férőhelyes vitorláskikötő. A kikötő bejárata NY-i tájolású. A kikötőmedencébe egy kb. 350 méter hosszú és 35 m széles csatorna vezet. A mólófej és a csatrona mindkét oldalán a partfal szórt kövezésű. A kikötőmedencében egy 12 m átmérőjű közelítően kör alakú sziget van. A kikötő a balatonöszödi kormányüdülő területén van, így használata erősen korlátozott.
A kikötő hullámtörőinek meghosszabbítása 2005-ben történt, addig nem nyúlt be annyira a kikötő a Balatonba.

Balatonszemes

Déli parti kétmólós közforgalmú kikötő, 2 nagyhajónak magas partfal, 2 kisebb hajónak magas partfal, 200-300 vitorlás kikötőhely. A kikötőmedence vízfelülete 36.300 m2. Nem minden széliránytól védett, így az É-ÉNY-i szélnél a hullámzás a kikötő bejárata utáni vízterületén eléggé érezhető. A kikötő bejárata ÉNY-i tájolású, a bejárat szélessége 55 m. Mindkét mólófej szórt kövezésű. A kikötő talaja közepes keménységű márgás iszap. A kikötő K-i oldalán vannak a vitorlások kikötését biztosító úszó stégek, a bejárathoz közelebb eső stég előtt hullámtörő facölöpsor. A vitorlások a NY-i móló mellett kialakított hajózó útvonalon tudják a kikötőt megközelíteni. A személyhajó kikötő a NY-i mólón a bejárat után található. Egymotoros nehezen manőverező hajók számára nehezkes a kikötés, É-i és ÉK-i (ráfújó) szél esetén nem használható. ÉNY-i szélben a K-i mólószárnyról visszainterferáló hullámok hosszan kifutnak és fordulási nehézségeket okoznak a K-i mólónál. NY-i irányú szélnél a kikötőbejáratban a hullámok feltornyosulnak, ha kellő sebesség hiányában keresztbe fordíthatják a hajót és fennáll a K-i mólóra sodródás esélye. A NY-i szél miatt a kikötő K-i oldalán iszapfelrakódás is keletkezhet, ami a vízmélységet csökkentheti. Jó tájékozódási pont nincs, a part lapos, nincs jellegzetes tereptárgy, a kikötőtől K-re néhány magas épület látható, a kikötő mögött az 185 m-es Öreghegy látható.
A balatonszemesi kikötő 2005-ben lett teljesen átépítve. Az előtt a személyhajó kikötő partfala a K-i mólón volt egészen a kikötőmedence vége felé, a vitorláskikötő stégek pedig a NY-i mólón voltak. A szabad vízterület aránya lényegesen magasabb volt.

Balatonlelle

Déli parti kétmólós közforgalmú kikötő, 2 nagyhajónak magas partfal, kb. 200 vitorlás kikötőhely. A kikötőmedence vízfelülete 21.200 m2. A kikötőnek nincs természetes takarása, ezért nem minden széliránytól védett, így az É-ÉNY-i szélnél a hullámzás a kikötő vízterületén intenzíven érezhető. Ilyen irányú szélben a hullámtörő gátak között a víz erőteljesen felhullámosodik. A kikötő bejárata ÉNY-i tájolású, a bejárat szélessége 55 m. Mindkét mólófej szórt kövezésű. A személyhajó kikötőpartfal a kikötő K-i oldalán van a hullámtörő gátra ráépítve. Itt a partfal függőleges kiképzésű. A vitorlás hajók a NY-i mólón elhelyezett úszóstégeken valamint a kikötő D-i oldalán köthetnek ki. NY-i irányú szélnél a bejáratban a hullámok feltornyosulhatnak, megfelelő sebesség hiányában a hajó keresztbe fordulhat, fennáll a K-i móló belső felére való felcsúszás. A kikötőben feliszaposodás veszélye fennáll, NY-i szélnél a K-i mólót nagy ívben kell kerülni, mert a móló külső oldalán a vízmélysége 1 m körüli lehet. A part lapos, nincs jó tájékozódási pontokat adó tereptárgy, a kikötőtől kb. 200m-re balra található a vízparton egy kisebb szálloda.

Balatonboglár

Déli parti kétmólós közforgalmú kikötő, 2 nagyhajónak magas partfal, kb. 200 vitorlás kikötőhely. A kikötőmedence vízfelülete 37.900 m2. Minden széliránytól jól védett kikötő. A kikötő bejárata NY-i tájolású, a bejárat szélessége 60 m. Mindkét mólófej szórt kövezésű, mely a K-i hullámtörőn, a belső részen egészen a személyhajó kikötőig tart. A NY-i mólón helyezkedik el egy fáktól védett terület, ahol kemping található. Ennek a móló belső oldalán lévő partfala szintén szórt kövezés mindaddig, míg a partfal nem fordul DNY-i irányba, melytől kezdve függőleges partfal van körben az egész kikötőben. A személyhajó kikötő a móló K-i oldalán, a hullámtörő és a kiépített nyíltvízi part találkozásánál van. A kikötő talaja közepes keménységű márgás iszap. A kikötőmedence NY-i oldalán lévő fák széleltérítő, illetve szélcsökkentő hatásúak. Ez a hatás ÉNY-i széliránynál a kikötő belső részein is érezhető. A bejáratban NY-i irányú szélben a hullámok feltornyosulnak és a K-i móló belső oldaláról visszainterferálnak. Ezt a hullámmozgást még a kikötőben is érezni lehet. A K-i mólónál 1 m-es a vízmélység a feliszaposodás miatt. A kikötőmedence DK-i részén sólyapálya van kishajók részére. Tájlkozódási pont a kikötő felett emelkedő Várhegy és a tetején található gömb alakú kilátó, amely bármely irányból látszik. É-ÉNY-i irányból történő megközelítés esetén a a Várhegy a kikötőtől K-re kb. 700 m-re látszik. A NY-i mólófejen lévő kemping színes sátortábora és a K-i móló mellett kiugró partfeltöltésen lévő strand is jó tájékozódási pontot adhat.

Fonyód

Déli parti kétmólós közforgalmú kikötő, 3-4 nagyhajónak magas partfal, kb. 100 vitorlás kikötőhely. A kikötőmedence teljes vízfelülete 29.800 m2. Minden széliránytól védett a kikötő DK-i oldala. A kikötő bejárata É-i tájolású, a bejárat szélessége 40 m. A bevezető csatorna 300 m hosszú, mely a part felé egyre szűkülő tölcsér alakú és emiatt az É-i irányú szélben az erős hullámzáson kívül, a szűk részben még a hullám interferencia is kialakul. A K-i mólófej függőleges kiképzésű betonpart, a belső oldalon kb. 40 m hosszban, amely előtt csak keskeny kőszórás van. A K-i oldalon az említett részen kívül végig szórt kövezés van 170 m hosszban a személyhajó kikötőig, a NY-i oldalon a Halász szigetig. A kikötőmedence egyéb helyein függőleges kiképzésű partfal van. A kikötő talaja közepes keménységű márgás, meszes iszap. A medence NY-i oldalán vízirendészeti őrs van. Az erős É-i szél erejét a Halász-sziget fái jól csökkentik, illetve irányát meg is változtathatják. A medence D-i része mindössze 200-250 m széles. Tájékozódási pont a kikötőtől kb. 500 m-re NY-ra emelkedő 221 m-es Sípos hegy, melytől kb. 600 m-re tovább a 232 m-es Fonyódi várhegy van, melynek Balaton felé néző oldalán jól látható a Berzsenyi Dániel kilátó. Közvetlen a kikötő mellett található a vasúti rendező pályaudvar is.

Balatonmáriafürdő

Déli parti kétmólós közforgalmú kikötő, 1 nagyhajónak magas partfal, kb. 50 vitorlás kikötőhely. A kikötőmedence vízfelülete 21.000 m2. A kikötő a Nyugati-Övcsatorna torkolatába épült, annak hullámtörőit felhasználva. A kikötő bejárata ÉK-i tájolású, a bejárat szélessége 50 m. A kikötő hullámtörői kb. 300 m hosszúak. A két hullámtörő gát közti szélesség 40 m, amit még leszűkít a belső oldalak szórt kövezése, valamint néhány helyen a benőtt vízinövények (nád). Kishajóval kikötni csak a személyhajó állomás mögött D-re lehet. Nagyhajók számára csak 30m-es hajóhossz alatt használható, mivel a fordítóhely szélessége a keskeny csatorna miatt korlátozott. A hajók orral állnak be és mennek ki, a fordítás a kikötő K-i oldalán a partfal előtt egy kőszórás mentes helyen orrtűzéssel történik. A kikötőt csak az övcsatorna felett átívelő hídig lehet használni. A kihajózás É-ÉNY-i szélben nehézkes. É-i irányú szélnél az egész kikötő belső része erősen felhullámosodik, a hullámok magassága elérheti az 1-1,5 m-t, amit fokozhat a tavaszi magas vízállás a csatornában, ami a vízszint felduzzadását eredményezheti. Tájékozódási pont a kikötőbejáratot É-ról megközelítve szemben egy templomtorony, a bejárattól K-re kb. 800 m-re lévő szálloda, a bejárattól NY-ra kb. 600 m-re lévő strand és csúzda.

Keszthely

Északi parti egymólós közforgalmú kikötő, 4 nagyhajónak magas partfal, kb. 50 vitorlás kikötőhely. A kikötő DK-i tájolású. A D-i oldalon egy kisebb zárt ága van kishajók részére, melynek bejárata a part felől van. A kikötő körzetében az É-i szelek a leggyakoribbak és a legerősebbek is. A kikötő jó védelmet nyújt ezek a szelek ellen. A K-i szelek szerencsére ritkák, mert ezek ellen a kikötő védtelen. A NY-i szél ellen a legjobban védett a móló, mert a szélnek nincs kifutási lehetősége, így a vizet sem tudja felhullámosítani. A DK-i szelek ellen a kikötő É-i oldala véd a legjobban. A kikötő É-i oldalán a part felé van vitorlás és kishajó kikötési lehetőség farcölöpökkel, partfalon a kikötőszerelvények rendelkezésre állnak, a kikötőn túl a part felé alacsony víz van. A kikötő talaja közepes keménységű márgás iszap. A kikötő DNY-ra van az ún. szigetstrand, előtte a vízmélység kb. 2-2,5 m. Innen lehet megközelíteni a zárt ágú kikötőrészt. A szigetstrand előtt jégtörő betonbugák vannak, a kis hátsó kikötőbe való behajózáskor ezekre figyelni kell. A D-i oldal többi része szórt kövezésű. Tájékozódási pont a kikötőmóló két oldalán a parton elhelyezkedő magas épületek, a kikötő feletti viszonylag magasan lévő partszakaszon a város több templom tornya, valamint a Festetics-kastély jellegzetes tornya, a kikötőtől É-ra a Hotel Helikon magas épülete.

Balatongyörök

Északi parti egymólós közforgalmú kikötő, két nagyhajónak magas partfal. A kikötő bejárata DK-i tájolású. A kikötő csak É-i irányú szél ellen védett. A kikötőpartfal után a móló partig vezető része mindkét oldalon végig szórt kövezés. A Szigligeti öbölből kiinduló erős É-i szél igen kellemetlen kiforduló hullámzást okoz, még a móló NY-i oldalán is. A part felé kis víz és hínármező van. A kikötő talaja elég laza, iszapos talaj. Figyelembe kell venni, hogy a víztükör kilendülésénél folyás alakul ki. Tapasztalatok szerint kb. 3 napos É.-i szélnél már igen erős ez a folyás. További NY-i irányú áramlást okoz a Zala-folyó. Az áramlás először Balatonberény felé indul - ezt az itt lerakodott hordalékkúp bizonyítja - és a Balatongyöröki kikötő előtt fordul NY-ra. Tájékozódási pont a kikötőtől K-re kb. 500 m-re egy magas épület, É-i irányból érkezve a kikötőmóló felett egy templom tornya.

Szigliget

Északi parti egymólós kikötő karolómólóval, két nagyhajónak magaspartfal, kb. 100 vitorlás kikötőhely. A kikötőmedence vízfelülete 11.300 m2. A kikötő bejárata NY-i tájolású. A K-i mólónak csak a D-i végén van függőleges betonpartfal. A NY-i mólón a parthoz közelebb eső részen vitorlás kikötőstégek vannak, a D-i része csak kőszórás (karolómóló). A kikötő csak É-i irányú szél ellen védett. A kikötő talaja laza iszap. A Szigligeti-öbölben bekövetkezhet egy ÉNY-i szélfordulás, ami igen erős szélrohammal kezdődik, ha egy hidegfront betörése következik be.Tájékozódási pont a kikötő felett lévő 242 m-es Hálás tető, a kikötőtől NY-ra a Királyné Szoknyája hegy, csúcsán az Ovád rommal, a kikötő K-i oldalán a Rókarántó hegy.

Badacsony

Északi parti kétmólós kikötő karolómólóval, 9-10 nagyhajónak magaspartfal, kb. 120 vitorlás kikötőhely. A kikötőmedence vízfelülete 22.700 m2. A kikötő bejárata DK-i tájolású. A bejárat szélessége 55 m. A kikötő minden széliránytól jól védett. A K-i móló külső és belső oldalán függőleges partfal van. A kikötőmedence NY-i oldalán vitorláskikötő stégek vannak. Innen ágazik ki egy K-i irányú kőszórás (karolómóló). A kikötőmedence É-i oldalán is van egy magaspartfalas kikötő, ahol üzemanyagtöltő állomás is van. A kikötő talaja igen puha iszap. Az É-i oldali partfal előtt a vízmélység 2 m. Erősebb K-i irányú szélben a kikötő vize felhullámosodik. A kikötő K-i oldalán strand van, és partközelben a téli partvédelem miatt jégtörő betonbugák vannak, acél törőéllel. Tájékozódási pont a kikötő felett emelkedő 437m-es a Badacsony hegy (437 m) jellegzetes csonka kúpos formájával, a kikötő K-i oldalán egy magas épület van.

Pálköve (Kővágóörs)

Északi parti teherkikötő, kőrakodó uszályoknak. A kikötőmedence vízfelülete 62.500 m2. A kikötő a partba, illetve a nádasba bevágott két különálló medencéből áll. A kikötő nem rendelkezik mólóval. A NY-i 3.500 m2 vízfelületű medence 40m széles és kb. 80 m hosszú, a kőrakodó a K-i oldalon van. A K-i 1.500 m2 vízfelületű medence 15m széles és kb. 90 m hosszú, a kőrakodó a NY-i oldalon van. A két medence között lévő "félsziget" 60m széles, melyeken a kőszállító teherautóknak vannak rámpák építve a közúttól a kőrakodó csúszdákig. A medencék bejárata DK-i tájolású, emiatt a D-i és DK-i irányú szél és hullámzás ellen a kikötő nem védett. A medencék a többi szélirány ellen jól védettek. A medencék partfala szórt kövezésű vagy homokos rézsűs partfal, kiépített függőleges partfal nincs. Az uszályok a kőrakodó csúszdák alatt tudnak megállni, itt az egy vonalba a vízbe levert facölöpök tartják el a hajókat parttól. Tájékozódási pont a kikötőmedencék közötti félsziget felett egy fehér ház.

Révfülöp

Északi parti egymólós kikötő, két nagyhajónak magas partfal. A móló iránya megközelítőleg É-i. D-DNY-i széliránytól nem védett kikötő. A móló K-i oldalán a partélig függőleges partfal van kis szórt kő megszakításokkal. A NY-i oldal mellső része függőleges partfal, kb. 50 m hosszban. Innen tovább a partélig szórt kövezés van. A hajóállomás előtt alacsonyabb függőleges partfalú kikötő van. Ennek K-i oldalán a partélig szórt kövezés található. Innen a partélen kb. 400 m hosszú függőleges partfal van, a régi már nem használt teherrakodó. A kikötő talaja közepes keménységű márgás iszap. A K-i szelek nem érintik a kikötőt, a partalakulat és a nádas megfogja a szél erejét, azonban a hosszú hullámok a nyílt vízen kifejlődve, a partalakulatot elhagyva kifordulnak és erősen megmozgatják a kikötő vizét. Tájékozódási pont a kikötővel szemben állva É-i irányba a hajóállomás piros csúcsos tornyos épülete, a kikötőmóló felett egy templomtorony látható, a kikötő egy beöblösödésben található és tőle K-re több ilyen beöblösödés van.

Zánka

Északi parti kétmólós kikötő, 4 nagyhajónak magaspartfal. A kikötőmedence vízfelülete 14.000 m2. A kikötő bejárata ÉNY-i irányú, a bejárat szélessége 45 m. K-i irányból érkezve a kikötőmedence kinyúló részét meg kell kerülni a behajózáshoz. A NY-i mólófej külső és belső oldala függőleges partfal kiképzésű. A K-i móló külső oldala szórt kövezésű, belső oldala füghgőleges partfal vitorlások kikötésére. A teljes kikötőmedence függőleges partfalas. A kikötő talaja márgás iszap. A kikötő É-i és K-i oldalainak sarkán beton sólya van kishajók részére. A kikötő K-i oldalán strand van. Tájékozódási pont a kikötő felett a város magas épületei és a város jellegzetes betonból épült buzogány formájú víztornya.
A kikötőben 2005-ben lett a K-i moló meghosszabbítva, illetve karolómólóvá alakítva. Addig DK-i bejáratú medencés kikötő volt, mely a D-i és DK-i hullámzás ellen védtelen volt.

Balatonakali

Északi parti egymólós kikötő, egy hajónak magas partfal. A móló iránya megközelítőleg É-D-i irányú. A móló kb. 100 m hosszú. A kikötő K.-i oldalán kb. 13 m hosszú függőleges beton partfal van, a felette és alatta vízbe levert facölöpök a partfallal egyvonalban. A kikötő többi része szórt kövezésű rézsűs partfal. A kikötő csak É-i irányú szél ellen védett. A talaj a kikötő közelében lágy iszap. A 2 m-es vízmélység, a partéltől D-i irányban kb. 300 m-re van. Tájékozódási pont a mólótól K-re kb. 1000 m-re lévő két templomtorony és a mólótól NY-ra elterülő kemping. A kikötőben található vízállásmérő berendezés.

Balatonudvari-Fövenyes (Kiliántelep)

Északi parti egymólós kikötő, egy hajónak magas partfal. A móló iránya megközelítőleg É-D-i irányú. A móló kb. 70 m hosszú, a kikötő K-i oldalán kb. 13 m hosszú függőleges partfal van, felette vízbe levert facölöpök a partfallal egyvonalban. A móló részein szórt kövezésű rézsűs partfal található. A kikötő csak É-i irányú szél ellen védett. A talaj a kikötő közelében lágy iszap. Tájékozódási pont ha É felé közelítjük meg a kikötőt, az irányával szemben egy templom tornya látható, a kikötőtől K-re kb. 200 m-re a parton egy víztorony látható, a kikötőtől NY-ra egy kemping fehér házai látszanak.

Tihanyrév

Északi parti kétmólós kompkikötő, két kompkikötőhely, valamint nyíltvízi közforgalmú személyhajókikötő, 2 nagyhajónak magaspartfal, és egy üzemi várakozóhely. A mólóval határolt A 3.200 m2 vízfelületű kikötőmedence csak a kompok kikötésére alkalmas, nem közforgalmú. A kikötő NY-i oldalán ÉK-i irányban 65 m hosszú függőleges partfalú kikötőrész van személyhajók részére. Ennek a mólórésznek az É-i oldalán van egy mindössze 15 m hosszú É-i irányú rész, mely a komp pihenőhelye. A komp és hajó-forgalom, valamint a Tihanyi-szorosban kialakuló erős folyás miatt a terület vize nem nyugodt, erősen hullámzik. A hullámok nagy erővel támadhatják a partfalat és az ide kikötött vízijárműveket. A kikötő a NY-i, D-i és K-i szelek ellen nem védett. Tájékozódási pont a kikötőtől NY-ra kb. 300 m-re egy sárgás színű emeletes épület, és az előtte lévő strand csúszdája, a kikötő K-i oldalán lévő bazársor épületeinek együttese, különösen az első kerek presszó épület. A kikötőmedencében található vízállásmérő berendezés.
Megjegyzés: A kompkikötőről részletes ismertető a Technika - Rév, komp kikötése fejezetben található.

Tihany

Északi parti egymólós kikötő, 5 nagyhajónak magaspartfal, kb. 10 férőhelyes vitorláskikötő. A móló negyedkörívben csatlakozik a parthoz, így az É-i szelek és hullámzás ellen jó védelmet nyújt. D-i irányú szél ellen nem védett, valamint a K-i szél is kismértékben felhullámosítja a kikötő vizét. A kikötő talaja igen laza iszap. A kikötőmólófej és a külső rész szórt kövezésű, a belső oldal a körívig függőleges partfal. A kikötő É-i oldalán a körív és a part között van egy DK-i irányú magaspartfalas kikötő. A vitorlás hajók a móló által védett kikötőrész NY-i oldalán, lévő K-i irányú benyúló kikötőstégekhez köthetnek ki. Tájékozódási pont a kikötőtől NY-ra kb. 300 m-re a 205 m-es Nyársashegy ormára épített Tihanyi apátság kéttornyú temploma.

Balatonfüred

Északi parti egymólós kikötő, kb. 10 nagyhajónak magaspartfal. A Balaton felöli részén egy 100x50 m-es, a partéllel párhuzamos, alsó élével K-DK-re elnyúló rombusz alakú térré szélesedik ki. Ez a rombusz alakú rész a partéllel, egy 105 m hosszú nagyjából DK-i irányú keskenyebb mólórésszel csatlakozik. A rombusz alakú rész a személyhajók kikötését szolgálja, a parti összekötő móló mindkét oldalán a függőleges partfalhoz vitorlások köthetnek ki. A partra kiérő móló egy kb. 16 m hosszú híddal csatlakozik a parthoz. A móló DNY-i oldalán a móló sarkánál, egy „manőverdomb" van, amely a hajózás szempontjából fennakadást okozhat. Ezt a „manőverdomb"-ot a kikötőt használó hajók okozzák, amikor a manővereik során felkotorják a talajt. A kikötő körzetében az É-i szelek a leggyakoribbak és a legerősebbek még a part takarásában is. A kikötő jó védelmet nyújt e szelek ellen. A K-i szelek problémát okozhatnak a móló K-i oldalára kötött hajók esetében, mert ez a rész erősen felhullámosodik. A K-i és NY-i szelek ellen a móló ellenkező oldalai védenek. A D-i szél ellen a kikötő nem védett, sőt kimondottan veszélyes helynek minősül. A kikötő talaja márgás iszap. Tájékozódási pont a kikötő móló felett, annak irányában lévő 317 m-es Tamás-hegy, a kikötőmólótól K-re a szívkórház kéménye, valamint Siófok felől érkezve a 253 m-es Meleg-hegy oldalába épített Fehér templom.

Csopak

Északi parti egymólós kikötő, egy nagyhajónak magas partfal. A móló közel É-D irányú. Csak a NY-i oldalon van kikötési lehetőség. A móló NY-i oldalán egy kis fás, bokros sziget van, ami a NY-i irányú szelek által keltett hullámokat kissé megfékezi. A kikötő talaja márgás, meszes iszap. A móló K-i oldalán nem lehet kikötni, sekély a víz. A kikötő-móló DK-re elforduló részén, ahol a mólóárboc is van, rakott rézsűs kőpart található, előtte a vízmélység mindössze 0,3-0,4 m. Tájékozódási pont - Siófok felől érkezve - a kikötő K-i oldalán lévő magas épület, a kikötő NY-i oldalán lévő vitorlásklub fehér klubháza. Balatonfüred felől érkezve takarásban van a kikötő.

Alsóörs

Északi parti egymólós kikötő, két nagyhajónak magas partfal. A móló közel É-D irányú. A móló teljes hossza l70 m, a mólófejen a terület kiszélesedik, alakja trapéz alakú, a személyhajók kikötésének megkönnyítése miatt. A móló K-i része a kiszélesedő rész felett szórt kövezésű, a móló egyéb részein függőleges partfal van. A móló kiszélesedő részén fasor található. A kikötő csak a D-i irányú szelek ellen nem nyújt védelmet. A kikötő talaja márgás iszap. Tájékozódási pont a mólótól K-re lévő világos színű épület, a strand étterme, a mólótól NY-ra vitorlásklub épülete és hajókiemelő daruja, a móló NY-i oldalán lévő, megközelítőleg K-NY-i irányú hosszú függőleges part, a régi vasúti átrakó vízszintes vonala.

Balatonalmádi

Északi parti egymólós kikötő, két nagyhajónak magas partfal. A móló közel É-D irányú. A mólófej kiszélesedik, alakja trapéz alakú, a személyhajók kikötésének megkönnyítése miatt. Ettől a térségtől a K-i oldalon a partél felé a móló oldala szórt kövezésű. A móló NY-i oldalán hasonló a helyzet, azonban a szélesebb mólórész és a partél között egy alacsonyabb kikötőrész van. A kikötő csak az E-i irányú szelek ellen védett. A kikötő talaja márgás iszap. Tájékozódási pont a a kikötő felett a Hotel Aurora magas épülete, mely a pontosan a kikötő irányában van, valamint a kikötőtől K-re jól látható fehér színű, piros tetős emeletes épület.

Balatonkenese

Északi parti egymólós kikötő karolómólóval, 2 nagyhajónak magas partfal, 230 vitorlás kikötőhely. A kikötőmedence vízfelülete 23.100 m2. Minden szélirányból jól védett kikötő, még a D-DNY-i széltől is. Bejárata K-i irányú, szélessége 50 m. A kikötő K-i oldala a régi személyhajó kikötő mólója, D-i és NY-i oldala újonnan épült, a Balaton felől szórt kövezésű, a belső oldala függőleges partfalú kikötő móló. A kikötőmedencében az É-i oldalon megközelítőleg D-i irányban 4 db vendégmóló épült, valamint a NY-i hullámtörő-móló belső oldalán lehet kikötni. A kikötő talaja eléggé kemény, márgás iszap. A vízmélység átlagosan 2,5 m. A kikötő ÉK-i sarkában kishajóknak beton sólya és üzemanyagtöltő állomás található. Tájékozódási pont - Siófok felőli hajózásnál - a móló mögött lévő két templom tornya, melyek között látszik a móló, a kikötőtől NY-ra lévő fehér színű magas épület, valamint a település felett egy partsuvadás, löszfal látható, aminek sárgás színe igen feltűnő.

Balatonaliga

A legkeletibb déli parti kétmólós közforgalmú kikötő, egy nagyhajónak magas partfal, kb. 80 vitorlás kikötőhely. A kikötőmedence vízfelülete 20.000 m2. A kikötő bejárata DNY-i tájolású, a bejárat szélessége 40 m. A kialakuló hullámzás miatt az É-i mólófejnél a hullámtörő kövek a bejáratba begurulnak és emiatt a bejárat leszűkülhet. A kikötő talaja közepes keménységű márgás iszap. A kikötő körzetében É-i az uralkodó széljárás. A mólófejek után a kikötőpartfalak belső oldalai függőleges kiképzésűek. A NY-i mólószárnyról, a parttól kb. 50 m-re K-i irányú 40 m-es vendégmólók nyúlnak be a kikötő medence felé. A kikötő K-i oldalán található egy jól kiépített beton sólya kishajók részére. A kikötő átlagos vízmélysége 2,5 m (75-ös vízállásnál). A kikötő a Club Aliga területén van. Tájékozódási pont a kikötő bal oldalán a parton és a parttól beljebb, a parti fák felett látszó a keskenyebb oldalával a víz felé álló három darab emeletes épület, jobbra pedig a Hotel Volán emeletes magas szálloda.


Balatoni kikötők régi leírásai (1966-ban készült jegyzet)

Az itt található leírások forrása: Riedl János - Szalai István: Balatoni kikötők, jegyzet, 1966. (eredeti szöveg)

Siófoki kikötő (kétmólós kikötő)

A siófoki kikötő a Balaton legrégibb és legnagyobb állandó nyári és téli hajókikötője, a balatoni hajózás központja. A kikötő fejlődésében 3 időszakot különböztethető meg: 1863-1912 között még csak egy medencéje és fából készült partfala volt, 1891-ben a fazsilipet elbontották, és helyébe betonzsilipet építettek. A BKF (Balatoni Kikötők Felügyelősége) székhelyét 1912-ben a siófoki kikötőben építették ki. Műhelyeket, raktárakat építettek. Elkészítették a középső úgynevezett téli kikötőt, hajókihúzó sólyát. Megépítették a vitorláskikötő medencét és a mólókat a mai méretre meghosszabbították. 1930-ban a BFK részére új székházat, irodaházat építettek, korszerű műhelyépülettel, raktárt létesítettek. 1942-ben megkezdték a hajózsilip és a vízleeresztő zsilip építését, melyet 1947 szeptemberében fejeztek be. A Sió-torkolati művek megépítésével nagymértékben megváltozott a kikötő területi elrendezése. A siófoki kikötő mai állapotában a Balaton egyetlen teljes értékű kikötője, amelynek jelentőségét az alábbiak mutatják: személyhajó forgalom, teherrakodó, vitorláscsónak kikötő, hajójavító üzem sólyával, üzemanyag tároló raktárak, halászkikötő, téli kikötő, a hajózás üzemvezetésének központja, a Sió csatorna kiindulópontja.
A személykikötő közvetlenül a vízleeresztő előtt található. A kikötő falnál kb. 1,5 m távolságban 20/18 cm tölgyfaütközők vannak felszerelve, amelyek 50-60 cm-re nyúlnak fel a kikötő szintje fölé. A +2,30 szintre emelt 155 m hosszú partfal 4-5 hajó kikötését biztosítja. A személyhajó kikötő felett kb. 100 m hosszban +1,50 m szintű motoros kikötőn 2-3 motorcsónak köthet ki. A Balaton felé eső rész a csekély vízmélység miatt csak csónakok kikötésére szolgálhat. A kikötő ezen K-i oldalán egyéb kikötési lehetőség nincs. A mólóbejárattól a vízleeresztő zsilipig hajóút van, amely a Rózsaliget és az 1-gyel jelölt épület között igen keskeny, biztonsággal csak egy személyhajó közlekedését szolgálja. A vitorlások e szakaszról ki vannak tiltva, csak javítás vagy téli tárolás céljából hajózhatnak be. 30 m3/sec-nál nagyobb vízeresztés esetén annyira megnövekszik a vízsebesség, hogy vitorláshajó a belső kikötőből kihajózni nem képes.
A téli medence É-i partján van a sólyapálya. A hajók kihúzását 20 t-s csörlőkkel végzik. A szerelőmóló két oldalán, a téli kikötő NY-i oldalán 3-4 hajó állomásozhat. A téli kikötőben az MHRT személyhajói telelnek. A külső medence (vitorlás) NY-i oldalának meghosszabbításában a medencétől kb. 220 m-re tér le a hajóút a hajózsilip felé. A medencének ez a része 30-35 m széles, mind a két oldalán hajókikötésre alkalmas partfallal. A hajóútban a hajózsilip felé haladva a jobb (NY-i) oldalon a bejárati medence folytatásában is egészen a Halász medencéig 280 m hosszúságú fehér kikötő húzódik, amely mellett egyidejűleg 6-8 db uszály kezelhet. A K-i oldal a hajózás üzemi partfala 2-3 hajó részére. Az öböl folytatásában a sarkantyú mellett a BVK műhelytelepe és kikötőrésze van, ahol hajók, kotróhajók helyezhetők el. A halászati medencében a NY-i oldalon a TÉRICS (hajószárító állvány) húzódik, itt hajó nem kezelhet, a K-i oldalon van a halászati kis partfal 1-2 hajó részére. A halászmedence D-i partja földlejtő, ideiglenes hajókihúzó berendezéssel. Tél folyamán ha a vízleeresztő zsilipen 10 m3/s-nál nagyobb vízátfolyás van, a kikötő nagy részében a víz nem fagy be. Ennek magyarázata, hogy a Balaton jégpáncélja alól kifolyó kb. 4°C hőmérsékletű fenékvíz a móló végétől a zsilipig nem hűl le fagypont alá.
Összefoglaló adatok: Épült: 1963 és 1965 között; személyhajó partfal hossza (forgalmi): 155m; személyhajó partfal hossza (üzemi): 630m; vitorlás kikötő hossza: 260m; teherhajó partfal (forgalmi): 285m; teherhajó partfal (üzemi): 245m; csónak és motoros kikötő: 100m; mólók hossza: 480m.

Balatonföldvári kikötő (kétmólós kikötő)

1898-ban létesült a kikötő. Építése, alakítása 1935-ig folyamatosan tartott. Siófok után a legnagyobb védett vízi területe van. A kikötő DNY-i sarkában kisvízijármű kikötőt létesítettek. A mólóhíd alatti nyílást megszüntették úgy, hogy a vitorlások kikötésére alkalmas partfalat építettek. A személyhajó kikötő hossza 40m, kb. 2 hajó kikötésére alkalmas. A Kwassai-sétány NY-i oldalán van a motoros kikötő. A Galamb-sziget a medence első kotrásakor keletkezett. A teherkikötőnek a medence K-i sarkában lévő átlós irányú partfalat használták. Ma már teherforgalom a kikötőben nincs. A vitorlások a NY-i móló végén, közvetlenül a bejáratnál az erre a célra épült belső padkán kötnek ki, az előre kijelölt helyen. Minden hely évek óta le van foglalva. A személyhajó forgalom növekedése indokolja a Galamb-sziget körülhajózásának biztosítását, melynek megoldása rövidesen várható. A Séd patak a NY-i móló tövében torkollik a Balatonba.
Összefoglaló adatok: Épü1t: 1904-1905 évben, utána többször lett átépítve. Nagyhajó kikötő partfal hossza 40m, vitorlás kikötő partfal hossza 100m, motorosok és evezősök által használható 340m, teherhajó kikötő partfal hossza 95m.

Balatonszemesi kikötő (kétmólós kikötő)

1911-1912-ben épült a kikötő. Bejárata az É-i szelek ellen védve van ugyan, de a NY-i és ÉNY-i szelek a széles és hosszú tagolatlan kikötőmedencében erős hullámzást okoznak, amely a kikötőben lévő motorosok és vitorlások nyugodt tartózkodását zavarja. A medencében szabadon álló vitorlás móló 30m hosszú és 2,5 m széles. Itt 5-6 nagyobb vitorlás köthet ki. A DNY-i hullámtörő tövénél a VITUKI létesített fa kikötőhidat. A személyhajó kikötő partfalát egy nagyobb és egy kisebb hajó használhatja egyidejűleg. A személyhajó kikötőhöz közvetlenül csatlakozó kisjárműkikötő 2 motoros és 10-15 csónak részére ad kikötési lehetőséget. Az ÉK-i móló tövénél a medence sarkában van a halászok fa kikötőhídja.
Összefoglaló adatok: Épült 1911-1912-ben, többször átépítették, fejlesztették, a személyhajó kikötő hossza 40m, a vitorláskikötő hossza 30m, a motorcsónak kikötő hossza 36m.

Balatonlellei kikötő (kétmólós kikötő)

A kikötőt 1932-ben kezdték építeni és 1966-ban fejeződtek be a munkálatok. A kikötőmedence erős feliszapolódása miatt a kikötő part felőli és DNY-i oldalát lezárták nádfallal, és a medencéből nyert iszapot ide helyezték el. A feltöltött területet parkosították. A személyhajó kikötő alkalmas két kisebb, illetve egy nagyobb személyhajó kezelésére. A személyhajó kikötő folytatásában alacsonyabb vitorlás, motoros és csónakkikötő épült.
Összefoglaló adatok: személyhajó kikötő partfal hossza 30m, motoros-evezős kikötő partfal hossza: 40m.

Balatonboglári kikötő (kétmólós kikötő)

Balatonboglár a Balaton egyik legrégebbi kikötője. A kikötő személyhajók, teherszállító uszályok, motorosok, vitorlások és csónakok kikötésére szolgál a megfelelő, a helyileg elkülönített berendezésével. A kikötő egyike a legjobban üzemeltethető medencés kikötőnek a tó D-i partján. A bejárat és a NY-i móló kialakítása a mögöttes vízterületnek jó hullámvédelmet, a sziget erdeje pedig a medencében horgonyzó vitorlásoknak a tó szélirányokban csendes víztükröt biztosít. A belső medencét úgy képezték ki, hogy induláshoz a személyhajók a medencében fordulhatnak, és így nem kell a partfal mellett fordulniuk.
Összefoglaló adatok: nagyhajók kikötésére alkalmas partfal 70m, vitorlás és motoros partfal 140m, teherrakodó partfal 208m, a K-i móló 300m, a NY-i móló 60m hosszú. A kikötőben kisvízijármű sólya van. Vízmélység +0,80m vízállásnál az egész kikötőben 30-35 dm.

Fonyódi kikötő (kétmólós kikötő)

A kikötő forgalma nagy. Balatoni viszonylatban Siófok és Füred után a legnagyobb. A kikötő két kőhányásból készült mólója nem párhuzamos, hanem közvetlenül a medence előtt 22-24 méterre szűkül, így a mólók közötti vízterület kizárólag közlekedési út, itt a hajók nem horgonyozhatnak le. Az aránylag szűk és hosszú bejáraton a vitorlások a hajóforgalmat akadályozzák. A kikötőmedence háromszög alakú.
Összefoglaló adatok: Nagyhajó kikötő partfal hossza 110m, motorosok és evezősök részére 52m, teherhajók részére 60m.

Keszthelyi kikötő (egymólós kikötő)

A keszthelyi kikötő már 1847-ben létezett. 1952-ben építették újjá. A kikötőfej 60m hosszú, mindkét oldalán személyhajó kikötésére alkalmas kiképzéssel. Az 50m hosszú kisjármű kikötő a móló É-i oldalán van a kikötőfej mellett elhelyezve. A kikötőfej trapéz alakú, a móló felőli végén 20m, a Balaton felőli végén 13m széles. A kikötőfejnél egyidejűleg 4 kisebb típusú, vagy 1 nagyobb (Beló) és két kisebb hajó köthet ki. A csónakkikötő partfalánál 3-6 vitorláshajó vagy 8-10 csónaknak van helye.
Összefoglaló adatok: Móló hossza 254m, személyhajó kikötőfej hossza 120m, kisjárműkikötő hossza 50m.

Balatongyöröki kikötő (egymólós kikötő)

A kikötő a Balaton É-i partjának kiugró részén épült egymólós, trapéz alaprajzú, kétoldalú használatra kialakított 30 m hosszú kikötőfejjel. A móló hossza 158m, járószélessége 2,5m. A mólónak készült mellvédfala. A móló É-i főszelektől védve van, a hullámok ritkán támadják, nem csapnak át rajta. A kikötőfej 11,5m hosszban +2,1m magas, majd 14%-os eséssel +1,70m magas vízszintesben folytatódik. A magasságkülönbség célja az, hogy a különböző fedélzetmagasságú hajókból az utasok kényelmesen közlekedhessenek.
Összefoglaló adatok: Nagyhajók részére alkalmas kikötőhossz 60m, csómakok, motorosok, vitorlások a kikötőt nem használhatják.

Szigligeti kikötő (egymólós kikötő)

A kikötő 1935-ben kezdett épülni, 1936 májusában már átadták a forgalomnak. A móló 110m hosszú. NY-i oldalán csónakkikötő épült.
Összefoglaló adatok: Nagyhajók kikötésére alkalmas hely hossza: 80m, motorosok és csónakok kikötésére alkalmas hely hossza 10m.

Badacsonyi kikötő (medencés kikötő)

A kikötő rövid és széles, a fej felé csökkenő szélességű mólóból, ennek végén trapéz alakú kikötőfejből áll. A kikötőfejen a Balaton felé egy, a medence felé kettő hajó köthet ki egyidejűleg. A személyhajó partfala 1968-ban 2x34m hosszú vízében (?) kikötővel növekedett, mely fokozatosan zárt kikötővé alakuló medence belső mólója, illetve a véglegesített belső hajóállása lett. A kikötőben egyszerre két nagyhajó és két kisebb hajó tud kikötni.
Összefoglaló adatok: Személyhajó partfal hossza 204m, csónakkikötő hossza 50m, vitorlás forgalom szempontjából a kikötő igen nagy lehetőséget nyújt.

Révfülöpi kikötő (egymólós kikötő)

A kikötő egymólós, trapézfejes kialakítású. A nagyhajó kikötésére alkalmas mólóhossz mind a két oldalon 50-50m. A várócsarnok előtt van a kisjármű kikötő és vitorláskikötő. A kisjármű kikötő partfalánál egy vízibusz vagy egy motoroshajó köthet ki.
Összefoglaló adatok: A teherkikötő hossza 115m, egyszerre 2-3 uszály köthet ki.

Zánkai Központi Úttörőváros kikötője (medencés kikötő)

A kikötőt 1970 júniusában helyezték üzembe. A kikötő medencés jellegű. A medence NY-i oldalán van a bejárati móló, végén nagyhajó kikötővel. A K-i oldalon mólós félsziget épült, mely a kikötőt a strandtól elválasztja. A nagyhajók kikötésére a mólófej szolgál, mivel itt a természetes vízmélység ezt lehetővé teszi. A kikötőbe vezető bejáró móló belső oldala kishajók kikötésére alkalmas partfalként van kialakítva. A kikötő K-i sarkában van elhelyezve sólyapálya iker kivitelben. A félsziget kikötőmedence felőli oldala kishajók kikötésére alkalmas.
Összefoglaló adatok: Személyhajók kikötésére alkalmas partfal hossza 120m, vitorlások kikötésére alkalmas partfal hossza 160.

Tihanyi személykikötő (egymólós kikötő)

A kikötőmóló ívesen behajló vonalazása és a hegyoldal az É-i és NY-i szelektől védi a kikötőt, a mólófej pedig a K-i szelektől is védett. A kikötő fejlesztése eredményeképpen a személyhajó kikötő partfalnál 2 kisebb, vagy 1 nagyobb, a legújabb motoros kikötő mólónál 4 motoros személyhajó, az öböl sarkában lévő mólónál 2 vízibusz vagy 1 személyhajó, a csónakkikötőnél 4-6 csónak vagy vitorlás köthet ki.
Összefoglaló adatok: Személyhajó kikötésére alkalmas partfalhossz 83m, motoros kikötő móló partfalhossz 80m, új motoros- és vitorlás mólók hossza 76m, csónakkikötő hossza 20m.

Balatonfüredi kikötő (egymólós kikötő)

A kikötő a főközlekedési út folytatásában elyhelyezett mólóval kapcsolódik a parti sétányhoz. A mólónak a parthoz való csatlakozásánál vasbetonhíd van közbeiktatva, hogy a kikötőbe NY-ról érkező evezőcsónakok a hajóforgalom zavarása nélkül juthassanak a rózsaligetnél lévő kikötőhelyükre.
A móló belső oldalára épült a kisjárműkikötő, a külső, Tihany felé eső oldalára a kisebb merülésű vitorlások kikötője. A kikötő három oldala a személyszállító és motoros hajók kikötésére szolgál. Az É-i (? helyesebben a D-i) oldal előnye, hogy a hajók ki- és beszállítás után fordulás nélkül folytathatják útjukat. A kikötő Tihany felé eső oldala a mély járatú vitorlások kikötésére szolgál. A kikötőben egyidejűleg 3 nagy személyhajó, 2 vízibusz és 4 nagy vitorlás köthet ki. A kisjármű kikötőben 8-10 kisebb vitorlás és 16-20 csónak.
Összefoglaló adatok: Személyhajó partfalhossz 269m, vitorlás kikötő partfalhossz 90m, csónak kikötő partfalhossz 70m.

Csopaki kikötő (egymólós kikötő)

A balatoni hajóforgalom növekedése érdekében a MHRT javaslata alapján létesült a csopaki kikötő. Itt a Balatonfüred és Kenese közötti hajók kötnek ki. A személyhajó kikötőhöz D felé csatlakozva létesítették a vitorlás- és csónakkikötőt.

Alsóörsi kikötő (egymólós kikötő)

A kikötő egymólós megoldással készült, trapéz alakú mólófejjel. A mólófej mellett egyszerre 2 nagy személyszállító hajó köthet ki. A mólófej hossza 50m. A kikötőfejet a partal 115m hosszú móló köti össze. A móló D-i oldalán a vasúttal párhuzamos 110m hosszú szakaszán épült meg a teherkikötő. Mind a két partfalhoz közel az uszályok ki tudnak kötni a kellő távolságban elhelyezett kikötőbakokhoz.
Összefoglaló adatok: A nagyhajók kikötésére alkalmas partfalhossz 100m, motorosok és vitorlások kikötésére alkalmas partfalhossz 90m, a teherrakodó területe 6000 m2.

Balatonalmádi kikötő (egymólós kikötő)

1970-ben nyerte el eredeti formáját. A kikötőfej trapéz alakú. A kikötőfej szélessége a Balaton felé eső végén 9m. Magassága a móló tövénél +2,0m („0” felett), a balatoni végénél +1,80m, közben átmeneti lejtővel. Ezt a megoldást azért alkalmazták, mert a balatoni személyhajók nem azonos víz feletti fedélzetmagassággal készültek.
Összefoglaló adatok: Személyhajók kikötésére alkalmas partfalhossz 70m, teherhajók kikötésére alkalmas partfalhossz 135m, csónakok kikötésére alkalmas partfalhossz 40m.

Balatonkenesei kikötő (egymólós kikötő)

Kenese a sószállító hajók legfontosabb K-i kikötője volt az 1750-es években. Többszöri átépítés után nyerte el végleges formáját. A móló 230m hosszú. A móló végén trapéz alakú kikötőfej épült. A kikötőfej magassága 40cm-t esik, hogy alacsonyabb vízállásnál a hajóból való kiszállást megkönnyítsék.
Összefoglaló adatok: A személyhajók kikötésére alkalmas partfalhossz 60m.


www.balatonihajok.hu - Balatoni hajók katalógusa - Ez a Mű a Creative Commons Nevezd meg!-Ne add el! 2.5 Magyarország Licenc feltételeinek megfelelően szabadon felhasználható